当前位置:首页 > 政务公开 > 政策文件 > 区政府文件 > 政策原文
  • [ 索号 ]
  • 11500226009341047W/2026-00015
  • [ 发文字号 ]
  • 荣昌府公〔2026〕3号
  • [ 主题分类 ]
  • 土地
  • [ 体裁分类 ]
  • 公文
  • [ 成文日期 ]
  • 2026-01-21
  • [ 发布日期 ]
  • 2026-01-21
  • [ 发布机构 ]
  • 荣昌区人民政府
  • [ 有性 ]
重庆市荣昌区人民政府关于征收土地的预公告(荣隆镇先锋村1组)
日期:2026-01-21
字体:【 默认 超大
分享:

荣昌区实施城镇规划建设符合法律规定公共利益情形,拟征收荣隆镇先锋村1组集体土地。根据《中华人民共和国土地管理法》和《中华人民共和国土地管理法实施条例》等法律法规的规定,现发布征收土地预公告如下:

一、征收范围及土地现状

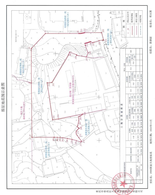
拟征收荣隆镇先锋村1组集体所有的土地约0.4765公顷。具体范围见拟征收范围示意图。

二、征收目的

土地征收后,拟用于荣昌区实施城镇规划建设。

三、土地现状调查安排及要求

自本公告发布之日起,本府依法组织荣昌区房屋征地拆迁中心、荣隆政府及有关部门开展拟征收土地现状调查,对被征地农村集体经济组织人口情况,拟征收土地的位置、权属、地类、面积,以及农村房屋、其他地上附着物和青苗等的权属、种类、数量等情况进行调查,拟征地范围内的土地的所有权人、土地使用权人应当予以配合,并对调查结果予以书面确认。

四、其他事宜

自本公告发布之日起,规划自然资源、住房城乡建设、农业农村、市场监管、林业、街道办事处等单位暂停办理涉及栽种、建设等增加征地补偿安置费用的相关手续,暂停期限自征收土地预公告之日起一年;违反规定的,依法追究相关责任人的责任。

自本公告发布之日起,任何单位和个人不得在拟征地范围内实施抢栽抢建等不当增加补偿安置费用的行为;违反规定的,不予补偿安置。

本公告自发布之日起施行,公告期限为10个工作日。

特此公告

附件:拟征收范围示意图

 重庆市荣昌区人民政府   

2026116日    

(此件公开发布)



版权所有:重庆市荣昌区人民政府

主办单位:重庆市荣昌区人民政府办公室

承办单位:重庆市荣昌区数字化城市运行和治理中心

微信公众号

政务微博

ICP备案:渝ICP备2021006398号-1 网站标识码:5002260001 渝公网安备:50022602000107号
提示 智能机器人形象
智能机器人形象
智能问答 政务服务 政策解读 政策问答 便民地图